28.3 C
Manaus
InícioAmazonasDinâmica fluvial na bacia do Rio Purus é foco de pesquisa do...

Dinâmica fluvial na bacia do Rio Purus é foco de pesquisa do IEAA/UFAM

Publicado em

O fenômeno conhecido como “estouro de meandro” tem provocado grandes transformações na bacia do Rio Purus, no Amazonas. Trata-se de um processo em que o canal principal do rio rompe uma de suas curvas acentuadas. Essas mudanças têm causado o deslocamento abrupto de comunidades, afetando profundamente a vida social e econômica das populações ribeirinhas. Esse fenômeno, intensificado muitas vezes pela ação humana, gera desafios urbanos e sociais importantes, como o aumento da população nas periferias das cidades e a pressão sobre os recursos naturais.

Com o objetivo de compreender essas transformações, um estudo desenvolvido pelo grupo de pesquisa “Paleopedologia e Indicadores Edáficos Aplicados à Amazônia Brasileira” (PaleoInd Amazon Soils), vinculado ao Programa de Pós-Graduação em Ciências Ambientais (PPGCA/UFAM), investiga a dinâmica fluvial da Bacia do Rio Purus, Amazonas.

O projeto é coordenado pelo Prof. Dr. Deyvid Diego Carvalho Maranhão, que conta com a participação de alunos de graduação e pós-graduação. Na dissertação do discente Elessandro Félix de Mello Douratando, mestrando em Ciências Ambientais, tem sido investigado os impactos dos processos fluviais no modo de vida das comunidades da bacia do Rio Purus.

“Meu trabalho de pesquisa está relacionado à dinâmica fluvial, especificamente na bacia do Rio Purus, porque estudar essas dinâmicas sobre as bacias do Rio Purus tem muito a ver com interesse em evidenciar fenômenos que são naturais e que se tornam sociológicos pra afetar a comunidade que estão em torno dessa bacia”, explicou o pesquisador.

Registro dos coços do rio Curuz, com destaque para a elevação e a pluviosidade média anual na região. Dados obtidos da CPRM (Companhia de Pesquisa de Recursos Minerais), fundamentais para o monitoramento hidrográfico e ambiental. Foto: Acervo do pesquisador

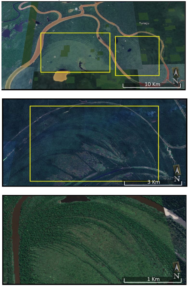
Segundo o pesquisador, um dos principais eventos observados é o fenômeno conhecido popularmente como “terras caídas”, resultado da intensa erosão de margens. Essas erosões redesenham constantemente o curso do rio, que já é caracterizado por curvas sinuosas. “O Rio Purus é um rio meandroso, missinuoso, com muitas curvas, com muitas violetas, como dizem os ribeirinhos, e essas voltas são diminuídas ano após ano, causando por essas erosões o ápice do fenômeno que nós chamamos de estouro de meandro”, relatou.

O estouro de meandro ocorre quando o canal principal do rio abandona uma de suas curvas acentuadas (meandro), formando um lago isolado, também conhecido como “ferradura”. A consequência mais visível disso é o deslocamento abrupto de comunidades inteiras. “Recentemente, parte deste trabalho precisou analisar a situação sociológica da comunidade do município de Lábrea. A comunidade, quase na sua totalidade, teve que imigrar de maneira rápida por conta de um estouro de um meandro que estourou e isolou essa comunidade”, destacou.

Padrão de canais fluviais do alto Purus Foto: Acervo do pesquisador

Esse deslocamento forçado gerou um novo desafio urbano: “Essa população passa, em sua maioria, a viver no centro urbano e infla as periferias”, acrescenta Elessandro, indicando os impactos sociais diretos que a dinâmica natural da bacia pode causar nas cidades.

O pesquisador também alerta para o papel das atividades humanas nesse cenário: “Essas tantas outras dinâmicas mais associáveis, como estouro de meandro através de fator antrópico, a questão de exploração do meio natural que acelera os processos”, enfatizou, sugerindo que a degradação ambiental pode intensificar os fenômenos fluviais.

Além disso, Elessandro apontou para as diferenças entre o alto e o baixo curso do rio, indicando que essa variação ajuda a compreender a própria formação da bacia: “Outras dinâmicas também voltadas pra fenomenologia fluvial, como diferenças encontradas no alto e baixo curso, isso remetendo à própria gênese da bacia do Purus, à origem dessa bacia”.

Por fim, o pesquisador reforçou o compromisso com o registro e a documentação desse conhecimento: “Essa pesquisa tem esses registros teóricos e fatores mais da bacia que a gente se interessar muito por colaborar e registrar através do trabalho, finalizou o pesquisador.

Conteúdo Originalmente Publicado em: Portal da Ciência

Notícias recentes

Construtoras reforçam estratégia para atender o aumento do público elegível no Minha Casa Minha Vida

As mudanças no programa Minha Casa, Minha Vida (MCMV), anunciadas recentemente, passam a valer...

Dupla é presa por tortura e morte de homem no interior do Amazonas

A Polícia Civil do Amazonas (PC-AM), por meio da 58ª Delegacia Interativa de Polícia...

Sine Manaus oferta 293 vagas de emprego nesta quinta (23/4)

A Prefeitura de Manaus, por meio do Sine Manaus, oferta 293 vagas de emprego em...

Enem 2026: período para pedir isenção da taxa termina nesta sexta

O prazo para os interessados solicitarem a isenção de pagamento da taxa de inscrição...

leia mais

Construtoras reforçam estratégia para atender o aumento do público elegível no Minha Casa Minha Vida

As mudanças no programa Minha Casa, Minha Vida (MCMV), anunciadas recentemente, passam a valer...

Dupla é presa por tortura e morte de homem no interior do Amazonas

A Polícia Civil do Amazonas (PC-AM), por meio da 58ª Delegacia Interativa de Polícia...

Sine Manaus oferta 293 vagas de emprego nesta quinta (23/4)

A Prefeitura de Manaus, por meio do Sine Manaus, oferta 293 vagas de emprego em...